August 1, 2025 | By Sophia Richter | 10 min read
As construction along Central St. continues this summer, the Peabody Historical Society and Museum looks at the long history of this segment of the City. Between 1997 and 2001, archaeologists carried out an investigation of 98-102 Central St. This was initiated because the City wanted to repurpose the land to construct a new housing development. This study revealed the long history of Peabody’s pottery industry.

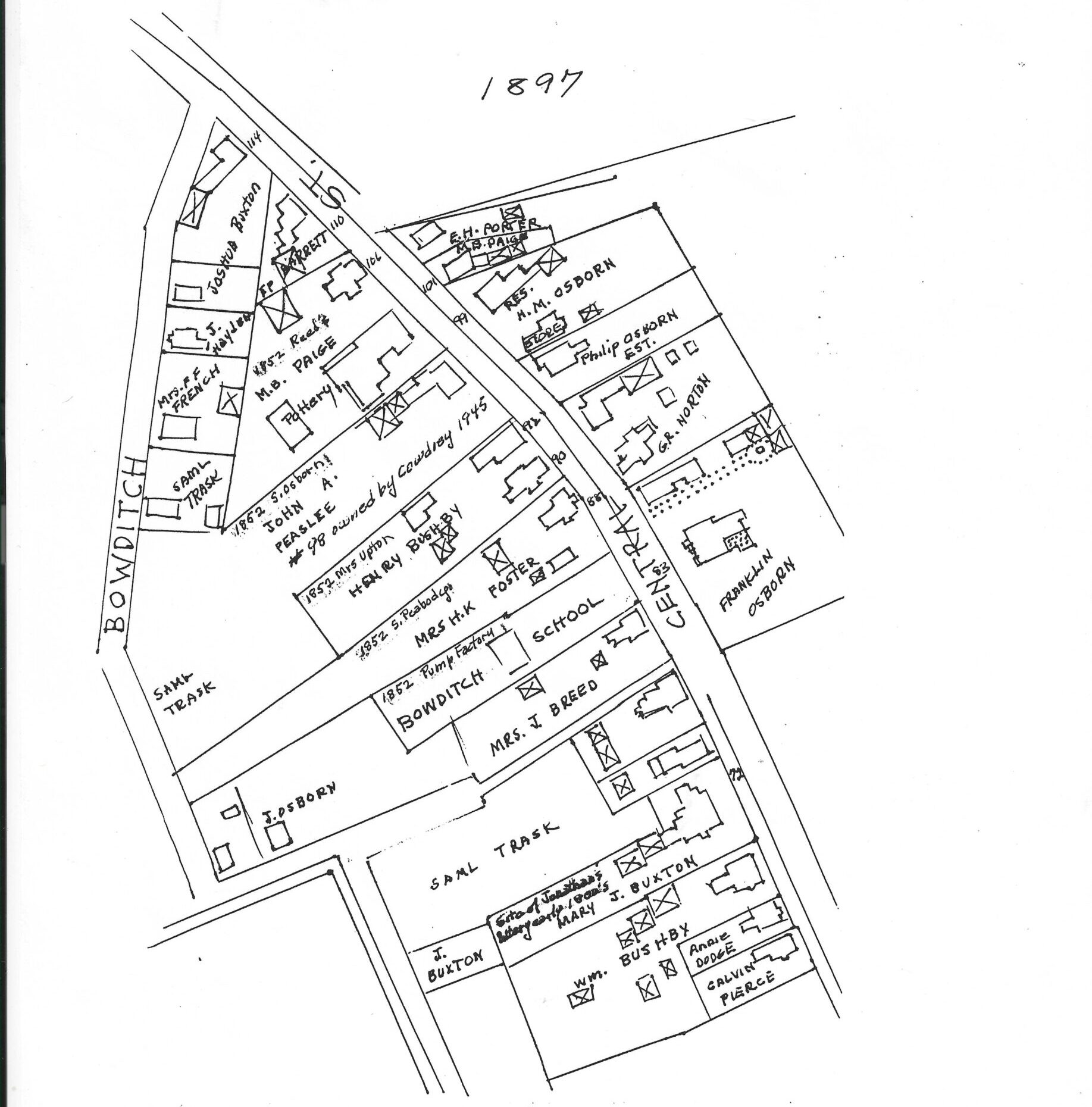
1897 Map of Central St. Peabody, MA. Based on the 1887 Sanborn Fire Insurance Atlas. Peabody Historical Society and Museum.
Peabody, known for its famed “Tannery City” past, could have alternatively been known for its pottery

Google Maps of the Danvers and Waters Rivers. Blue markers indicate sites where Peabody’s Central St. potters likely extracted clay from river clay-pits.
industry. For around 200 years, this section of the city was known as a hub for Essex County’s pottery industry. The earliest recorded pottery business in Peabody dates to 1798, founded by Amos Osborn at 100 Central Street, the site of the archaeological dig. That same business continued to produce pottery until December 9, 1941. The Peabody Historical Society and Museum continues to preserve pottery produced at 100 Central Street, spanning 1798-1941.
Peabody’s clay-beds:

Sears, J. H., The Physical Geography, Geology, Mineralogy, and Palaeontology of Essex County, Mass., (1905): 363.
Peabody developed into a pottery hub in part because of the thick beds of clay that exist just below the surface of the land. The type of clay most commonly found in Peabody is called “leda-clay”. This type of clay was originally formed beneath glaciers and deposited when they glaciers melted. Leda-clay in Peabody exists a foot or more underneath a layer of topsoil, gravel, and cobblestone and can extended at least forty feet beneath the surface.

Sears, J. H., The Physical Geography, Geology, Mineralogy, and Palaeontology of Essex County, MA (1905): 360.
Because of this, there were specific locations where potters would extract their clay. John Wells describes “the old clay pit lane” which ran through 201 Andover St. And up into the marshy banks of the Waters River.2 The Peabody Pottery company, owned by M. B. Paige from (1883-1940), extracted their clay from a clay pit on the banks of the Porter River.
Redware and the Revolution:

Source: Public Archaeology Laboratory.
Essex County, Massachusetts was known for its brick-making and pottery since before the American Revolution.1 The pottery industry around Peabody reached its peak between 1775-1825, when trade with England was on pause. During this time, there were 33 different “pot shops” in Danvers (which included Peabody at the time). These potters were so prolific that their products became known as “Danvers ware”. Peabody’s Central Street was historically the hub of pottery production in the region. During the Revolution alone, 12 of the men who enlisted were potters working on Central Street.
During the 1700’s, Central street went by a different name. It was called “Ye King’s Highway”, or Gape/Garp Lane. Using early land grants, deeds, and wills, we can recreate what Central Street used to look like. The westerly side of Central street was known at the time as Westfield and comprised of around 50 acres by 1640. Given its proximity to the neighboring waterways and their clay-bearing banks, this would have been an appealing location for potters. As you can see from the map, there used to be a brook that ran right through Westfield.
The Osborn’s took over this area in the 1690s and used it to develop Peabody’s pottery industry. The earliest record of their activities in pottery date to 1736. Over the generations, the land was passed down, and divided. Between 1798-1829, Amos Osborn acquired much of it and ran the pottery factory.
An account describes the operation of this pottery shop:
The Amos Osborn shop…is still in use… Until a few years ago, it was operated continuously in the same old way – the wares thrown on the wheel and fired in a wood-burning kiln… The old kiln stood where the packing room is today, next to the Cowdrey house, and its original walls are still in place.
– Lura Woodside Watkins, Early New England Potters and their Wares
Mechanization
In 1850, Joseph Whittemore Read acquired the business and ran it until 1883. He then sold it to one of the factory employees, Moses B. Paige.

98-102 Central St. pottery factory, ca. 1880. Peabody Historical Society and Museum.
Paige constructed a shop, warehouse, tenement, two sheds, a barn, and an engine room. The engine ran a pug mill on-site. This expansion changed how the factory operated, ushering in a period of mechanization. This also impacted the kinds of goods they produced. Paige’s Pottery created sewer pipes, and a number of mass-produced vessels, such as flower pots, bean pots, and storage jars and crocks.

Moses B. Paige “Peabody Pottery” Factory Sign. Peabody Historical Society and Museum.
Even though much of the history of this site was erased by the devastating fire in 1953, the archaeological dig helps us understand Peabody’s pottery history. Even after two hundred years and mechanization, Peabody’s pottery techniques did not change much since the colonial period. Chemical studies suggested that the Paige Pottery factory likely uses the very same clay that the Osborn’s did a century before them. While some regard this as an aspect of “puritan somberness”, or New England “conservativism”, it was more likely for economic reasons that Peabody’s pottery industry didn’t change.
During the early to mid-1800s, Midwestern styles of earthenware began to replace New England redware. While small-scale potters in New England were able to adapt, the pottery manufacturers on Central St. invested a lot of money into their redware production. In order to remain competitive, they likely chose to become more efficient at redware production, instead of taking the risk to transition to a whole new technique.
Reference:
1897 Map of Central St. Peabody, MA. Based on the 1887 Sanborn Fire Insurance Atlas. Peabody Historical Society and Museum.
98-102 Central St. pottery factory, ca. 1880. Peabody Historical Society and Museum.
Kathy McCabe, “Senior House to be Built on Site of Peabody Pottery,” The Boston Sunday Globe, February 21, 1999.
Kristen B. Heitert, Stephen Mrozowski, and O. Don Hermes, “Archeological Data Recovery Program: Osborn-Read-Paige Pottery, Peabody, Massachusetts,” Public Archaeology Laboratory, PAL Report No. 1200, (Pawtucket, Rhode Island, August 2002).
Moses B. Paige “Peabody Pottery” Factory Sign. Peabody Historical Society and Museum.
Sears, J. H., The Physical Geography, Geology, Mineralogy, and Palaeontology of Essex County, MA (1905)